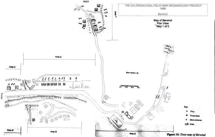
<< To Berwind 1 2 3 4 5 Next >>
Direct Edit